Suchmeldung | Einzelobjekt
Kauernde von vorne
Lost Art-ID
585774
Hersteller/Künstler:in
Klimt, Gustav
Geburt
1862.07.14, Baumgarten (Wien)
Tod
1918.02.06, Wien
Wirkungsort
Wien
Titel
Kauernde von vorne
Objektart
Objektgruppe
Material / Technik
Kreide schwarz ; Papier / gezeichnet
Höhe
44,30 cm
Breite
30,90 cm
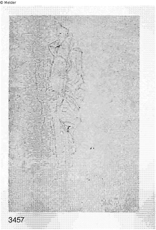
Beschreibung
nach Werkverzeichnis Strobl, Nr. 3457: Kauernde von vorne, schwarze Kreide. 443 : 309 (unregelmäßiger Rand); sign. re. u.: "Gustav Klimt" u. bez. in der re. u. Ecke: "R"; Beethovenfries 1902 (Novotny-Dobai Nr. 127)
300 Entwurfsskizzen wurden 1915 zusammen mit dem Beethovenfries von Reininghaus an August Lederer verkauft und wurden zum grössten Teil mit dem Monogramm "R" für Sammlung Reininghaus versehen.
Bestand
300-400 Bleistift-Zeichnungen von Gustav Klimt
Provenienz
Sammlung August und Serena Lederer, Wien, Bartensteingasse 8; März 1938 Beschlagnahmung durch Gestapo aus der Wohnung von Serena Lederer; [...]; Privatsammlung, Wien
Literatur / Quelle
Alice Strobl, Gustav Klimt. Die Zeichungen, Nr. 3457 (Studien für den "Nagenden Kummer", die "Unmäßigkeit", "Unkeuschheit" und die "Poesie"; Kat.-Nrn. 3455-3463)
Veröffentlicht seit
Kontakt
Kontaktanfragen richten Sie bitte an das Deutsche Zentrum Kulturgutverluste.
Permalink auf diese Seite